Glinde
Ursprünglich sollte der Bahnhof auf Oststeinbeker Gebiet, etwa am heutigen Papendieker Redder als Bahnhof Oststeinbek - Glinde westlich von Glinde angelegt werden. Durch Einwirken des Mitglieds der Kreiskleinbahnkommission, Gutsbesitzer Rudorff aus Glinde, wurde der Bahnhof allerdings an seinen noch heute bestehenden Platz südlich der Ortsmitte von Glinde als 3-gleisige Anlage angelegt. Die Bahn verlief sodann östlich um Glinde herum. Die dadurch entstandenen Mehrkosten für den Bau übernahm der Herr Gutsbesitzer. Somit hatte er für seine in alle Welt exportierte Vorzugsmilch direkten Zugang zur Bahn.
Als im Jahr 1936 die Bahn kurz vor der Stilllegung stand wurde das Gebiet um Glinde herum für die Zwecke der Nationalsozialisten sehr interessant. Im nahen Einzugsgebiet des Hamburger Hafens, aber abseits der Großstadt, wurde hier das Heereszeugamt (HZA) östlich von Glinde angesiedelt. Es sollte später dem Versorgungsnachschub für den Russland Feldzug dienen. Südlich von Glinde entstand gleichzeitig das Kurbelwellenwerk Hamburg (KuHa) der Firma Krupp. Hier wurde die Produktion von Kurbelwellen für Flugzeugmotoren voran getrieben. Glindes Bevölkerung wuchs zu dieser Zeit von etwa 500 auf über 2000
Menschen an.
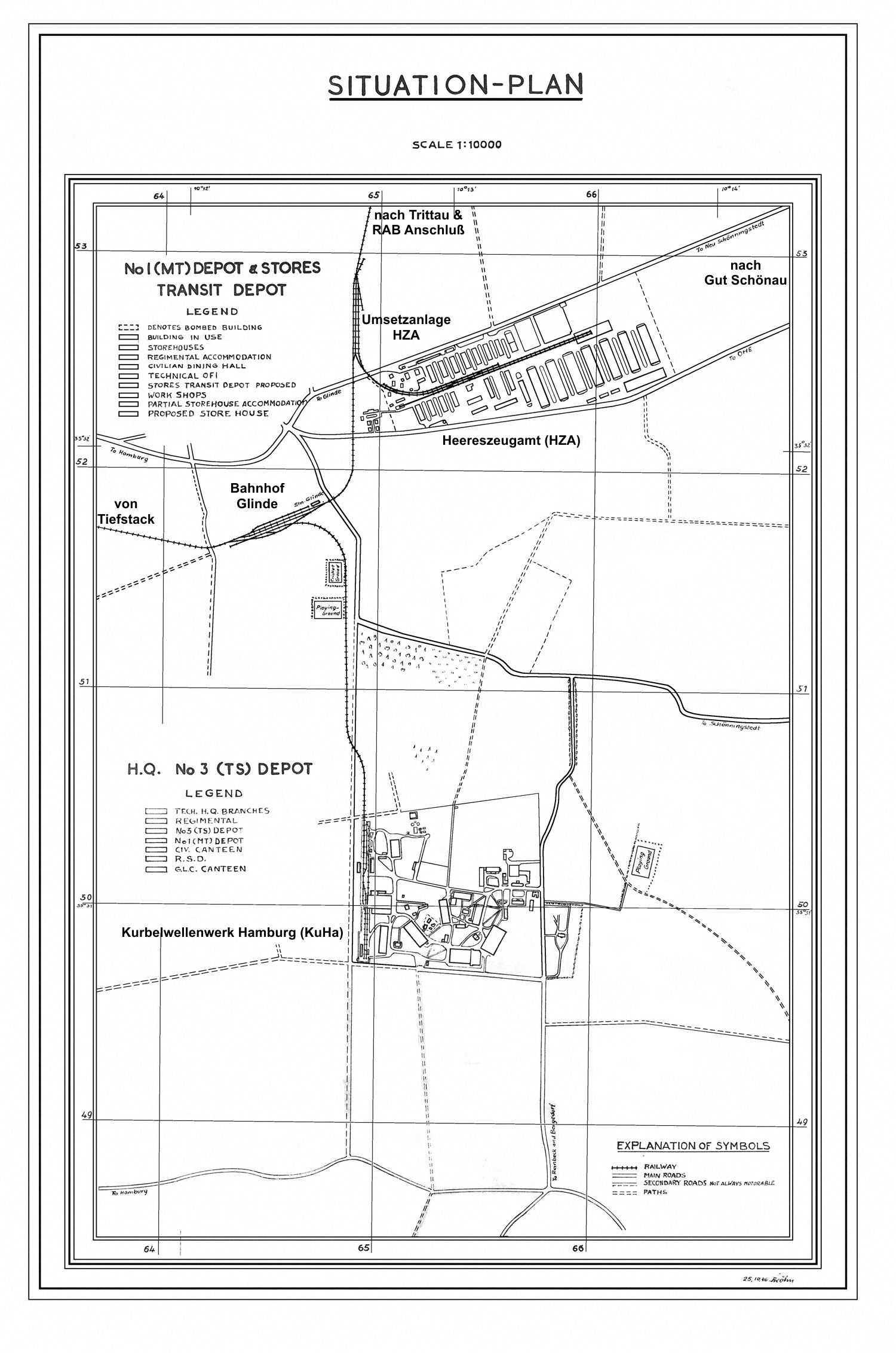
Beide Rüstungsbetriebe erhielten natürlich Bahnanschluss. Damit war der einstig dreigleisige Bahnhof zu klein geworden und wurde ausgebaut. Die Planungen dazu variierten zwischen einem 7-gleisigen bis zu einem 9-gleisigen Ausbau in unterschiedlichen Varianten. Dem Bildmaterial entnehmen unsere Forschungen, dass die 7-gleisige Variante umgesetzt wurde. Direkt aus dem Bahnhof wurde ein Anschlussgleis nach Süden zur KuHa gebaut. Der Anschluss zum HZA erfolgte durch eine Umsetzanlage am Streckengleis nach Willinghusen im Osten von Glinde. Zur besseren Übersicht finden Sie weiter unten einen Übersichtsplan der Bahnanlagen in Glinde im Jahre 1946, gezeichnet von der hier verbliebenen Britischen Armee, die sich in der KuHa und im HZA niedergelassen hatten.
Im Jahre 1938 erreichten die Arbeiten zum Bau der Reichsautobahn (RAB) Hamburg - Berlin das Stormarner Gebiet. Hierzu wurde nördlich von Glinde ein Anschlussbahnhof zum Materialtransport errichtet. Letztendlich ist noch der Culemeyer Betrieb von Glinde zum Gut Schönau in Ohe erwähneswert. Hier befand sich eine Spiritusreinigungsanlage.


